15 МАРТА - РЕФЕРЕНДУМ

Загадочные отверстия обнаружили на дне Атлантического океана

ПОДЕЛИТЬСЯ

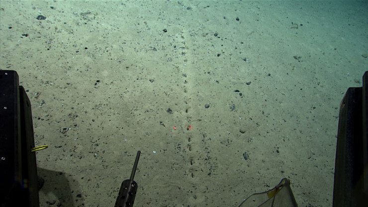
Загадочные отверстия обнаружили на дне Атлантического океана © NOAA

Американские ученые-океанологи обнаружили на дне Атлантического океана загадочные ряды отверстий, сообщает Tengrinews.kz со ссылкой на Russian TRAVELER


Американские ученые-океанологи обнаружили на дне Атлантического океана загадочные ряды отверстий, сообщает Tengrinews.kz со ссылкой на Russian TRAVELER

Фотографии странных подводных образований разместило Национальное управление океанических и атмосферных исследований США (NOAA). Ученые попросили пользователей выдвинуть свои версии об их происхождении.

Прерывистые линии с четкими отверстиями были обнаружены на дне недалеко от Срединно-Атлантического хребта, который также является самой длинной подводной горной цепью в мире. Хребет протянулся на 16 000 километров с севера на юг вдоль Атлантического океана, на глубине 2,7 километра.

"Мы наблюдали несколько таких сублинейных цепочек из "отверстий" в донных отложениях. О них уже сообщалось ранее, но их происхождение остается загадкой. Они выглядят рукотворными, из-за маленьких кучек вокруг отверстий создается впечатление, что они были специально выкопаны… чем-то", - говорится в пресс-релизе NOAA.

Некоторые пользователи высказали предположение, что отверстия были проделаны роющим пурпурным австралийским червем, также известным как "червь Боббита". Однако это существо обычно обитает на глубине от 10 до 40 метров в тропических водах, и на глубине 2700 метров им точно делать нечего. Тем не менее версия о роющих червях остается рабочей.

Впрочем, по словам профессора Университета Халла Майка Эллиота, ему неизвестно, есть ли какие-либо глубоководные животные, которые могли бы сделать такие отверстия. 

Один пользователь предположил, что подводная аномалия может быть "куском трубы, которая была перфорирована и лежала на морском дне". Это тоже маловероятно, поскольку Срединно-Атлантический хребет в значительной степени не изучен людьми, и трубам там тоже взяться неоткуда.

Другие пользователи списали явление на газовые карманы. В ответ ученые пояснили, что, хотя теоретически это возможно, линейность отверстий заставляет усомниться в теории. 

"Такие газы, как метан и сероводород, могут накапливаться в отложениях, а просачивание углекислого газа является обычным явлением. Все они оставляют оспины, но обычно они не такие повторяющиеся, как эти", - заявил Эллиот.

В NOAA отметили, что исследователи не могут точно определить источник отверстий и то, как они были созданы. Но они предположили, что отверстия могут указывать на роющую деятельность морского животного, которое обитает среди донных осадков.

Tengrinews
Читайте также

Курс валют

 493.84  course up  571.93  course up  6.24  course down

 

Погода

location-current
Алматы
А
Алматы 3
Астана -2
Актау 5
Актобе -3
Атырау 0
Б
Балхаш -2
Ж
Жезказган -3
К
Караганда -4
Кокшетау -6
Костанай 2
Кызылорда -8
П
Павлодар -5
Петропавловск -5
С
Семей 0
Т
Талдыкорган 3
Тараз 2
Туркестан -2
У
Уральск -4
Усть-Каменогорск 5
Ш
Шымкент -5

 

Редакция Реклама
Социальные сети